BUREAU D'ETUDES MILIEUX AQUATIQUES
nos services
![]() | ![]() | ![]() | ![]() | ![]() | ![]() |
|---|---|---|---|---|---|
![]() | ![]() | ![]() | ![]() | ![]() |
![]() | ![]() | ![]() | ![]() | ![]() | ![]() |
|---|---|---|---|---|---|
![]() | ![]() |
![]() | ![]() | ![]() | ![]() | ![]() |
|---|
Suivis environnementaux de travaux et du milieu récepteur (rejets d’industrie et assainissement)
Suivis de travaux
Nous effectuons régulièrement des suivis de la qualité du milieu pendant les travaux, notamment des mesures de transparence (disque de Secchi), de turbidité (turbidimètre ou sonde en continu) et matières en suspension. D’autres paramètres peuvent être mesurés comme la température, l’O2, ….
Ce type de mission ne s’arrête pas aux mesures, nous conseillons également le maître d’ouvrage et l’entreprise des travaux afin de prévenir tout disfonctionnement et adapter les travaux en fonction des résultats du suivi. Enfin, nous assurons le lien avec les services en charge de la police de l’eau.
Suivi du milieu récepteur de rejets (industriels, assainissement,…)
Nous menons des suivis de la qualité du milieu récepteur de rejets provenant par exemple d’industries (pétrochimie, production d’énergie,…), de systèmes d’assainissement (station d’épuration), de thalassothérapies …
Ces suivis sont basés sur l’analyse de la qualité physico-chimique et biologique du milieu (voir plus haut).
Evaluation environnementale de projet et diagnostic environnemental d’installations
- Dans le cadre de dossier réglementaires (dossier « loi sur l’eau », étude d’impact, natura 2000,…), nous évaluons les incidences de projets sur le milieu aquatique et définissons le cas échéant les mesures d’évitement, réductrice et compensatoire.
- Nous réalisons des diagnostics environnementaux d’installations et activité existantes comme les études port propres.
Qualité biologique du milieu
Etude de la vitalité et de la conservation des habitats, biocénoses et espèces (posidonie, coralligène, grande nacre, peuplements benthiques, échinodermes, …).
Nous menons des études des habitats et biocénoses selon différents protocoles standardisés afin de déterminer la vitalité des peuplements et l’état de conservation des habitats :
- Posidonie : pose de balisage de type RSP et suivi des limites supérieures et inférieures, indice PREI, micro et macro cartographie, …
- Coralligène (indice RECOR, protocole REBENT, …)
- Roches médio et infralittorales (REBENT, CARLIT, …)
- Substrats meubles (REBENT, peuplements benthiques, …)
Nous étudions les espèces (grande nacre, espèces invasives, …)
localisation, vitalité, …
Inventaires faune flore
Nous menons des inventaires faunistique et floristique sur l’ensemble des groupes d’espèces rencontrés ou sur des groupes en particulier (comptage ichtyologique, grandes nacres,…)
expertises environnementales milieux marin et dulcaquicole
Qualité physico-chimique du milieu
Prélèvements d’eau, de sédiments et de matière vivante.
En plongée ou à partir d’un moyen nautique, nous réalisons des prélèvements d’eau, de sédiments et de matière vivante (moules, oursins,…).
Bio-intégrateurs et échantillonneurs passifs
Nous mettons en place des systèmes de bio-surveillance comme les poches à moule (protocole RINBIO) et des échantillonneurs passifs.
Analyses physico-chimiques, microbiologique et écotoxicologiques d’eau de sédiments et de matière vivante
Nous faisons appel à des laboratoires agréés COFRAC conformément à la réglementation
Analyses d’eau in situ ponctuelles ou en continu
Nous réalisons des analyses d’eau in situ au moyen de sondes par mesure ponctuelle ou continue. Les principaux paramètres analysés sont la turbidité, profondeur de Secchi, la conductivité, la salinité, la concentration et saturation en O2, le potentiel redox, le pH et la température.
![]() | ![]() | ![]() | ![]() | ![]() | ![]() |
|---|
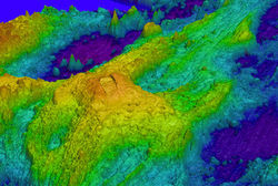
Bathymétrie et cartographie subaquatiques
Bathymétrie
Les levés sont réalisés :
- En plongée sur des petites zones.
- Au sonar multi ou mono-faisceaux pour des zones plus importantes et selon la résolution demandée.
Cartographie des habitats, biocénoses et espèces
Les cartographies sont exécutées à partir de levés au sonar (latéral et multifaisceaux), de l’interprétation d’images aériennes et de vérités terrain en plongée. La carte permet de localiser les différents types d’habitats, biocénoses et espèces de la zone d’étude.
Rapport et rendu
Les bathymétries et cartographies sont représentées sur une carte au format image, SIG ou DAO. Les cartographies font l’objet d’un rapport descriptif des habitats, biocénoses et espèces de la zone d’étude.
Orthocartographie avec mosaïques
Une mosaïque est le modèle de données qui permet de gérer et de traiter une collection d'images, telles que les images satellite, les images aériennes, les photos aériennes numérisées.
![]() | ![]() | ![]() | ![]() | ![]() | ![]() |
|---|---|---|---|---|---|
![]() | ![]() | ![]() | ![]() | ![]() |
Conseils et dossiers réglementaires relatifs au droit de l'environnement
Conseil en droit de l’environnement
Nous vous conseillons pour la réalisation de vos projets de la phase travaux à la phase d’exploitation (dragages, aménagements portuaires, rejets, ouvrages de protection, récifs artificiels, éoliennes, …).
Notre domaine de compétence concerne principalement le droit de l’environnement auquel se rattache d’autres domaines juridiques comme le droit relatif aux ports (concession portuaire) et à la propriété des personnes publiques (concession, AOT), …
Conseil et assistance à maîtrise d’ouvrage de la conception à l’exploitation
Réalisation d’études environnementales et diagnostics d'ouvrages.
Etablissement de dossiers réglementaires et accompagnement
Nous réalisons des dossiers réglementaires relatifs au droit de l’environnement (Autorisation et déclaration « loi sur l’eau », Natura 2000, étude d’impact, concession, AOT,…) nécessaires à l’approbation administrative de vos projets et vous accompagnons dans l’instruction de ces dossiers en faisant le relais avec les services de l’état concernés. Nos références concernent des projets d’aménagements portuaires (gare maritime, appontements, digue, aire de carénage,…), des rejets et émissaires (station d’épuration, thalassothérapie, …), des dragages, autre (récifs artificiels, mouillages, éoliennes en mer, …).
![]() | ![]() | ![]() | ![]() |
|---|
Inspection et diagnostic
d'ouvrages immergés
Ouvrages concernés
Nous inspectons en plongée l’ensemble des ouvrages immergés comme les quais, pontons, digues, canalisations, …
Méthodes d’investigation
Plongée :
Nous effectuons en plongée les taches suivantes:
- Relevés de désordre, pathologie.
- Métrés et profils (digue, …).
- Photos et vidéo géolocalisées.
Levés sonar :
- Les levés au sonar mono et multi-faisceaux permettent de déterminer la topographie des fonds.
- Les levés au sonar latéral permettent de visualiser les fonds (blocs de digue, défaut géométrique ,…).
Rapport et procès-verbal
L’inspection et diagnostic d’ouvrages immergés font l’objet de rapport et procès-verbal rassemblant la description des désordres et pathologies observés, les photos, la localisation cartographique des observations.


















































